物件検索 お問い合わせ
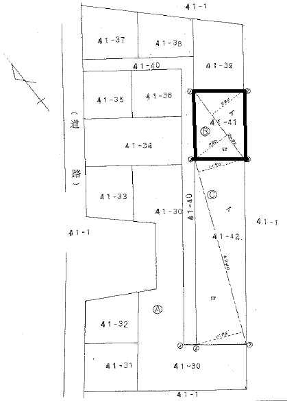
【土地】青葉区芋沢字吉成山 (現況 山林)
販売価格
200万円
物件タイプ
土地
築年数
建物面積
土地面積
203㎡(61.5坪)
所在階/階数
- 
間取り
- 
構造
- 
交通
所在地
宮城県仙台市青葉区芋沢字吉成山41-41
物件備考
土地面積:203㎡(公募)/ 建物面積: 無 ㎡(公募)
現況:更地 / 地目:他
引渡時期:即時 / 土地権利:所有権
都市計画:調整区域 / 用途地域:定めなし
建蔽率:60% / 容積率 100%
建築条件:無し
接道状況:私道 西 m  / 私道持分 16㎡(16/287) 
最適用途:家庭菜園/資材置場

物件特徴

前へ
次へ

物件所在地

宮城県仙台市青葉区芋沢字吉成山41-41

物件紹介動画

その他の物件情報

情報登録日
2025/12/07
情報更新日
2025/12/09
物件コメント
物件検索ワード:
最近見た物件